O furacão Melissa, de categoria 5, atingiu a Jamaica nesta terça-feira (28) como a chamada “tempestade do século”, com ventos sustentados de até 295 km/h. O fenômeno natural tocou o solo próximo à cidade de New Hope, no sul da ilha, e deve impactar ao menos metade da população local, segundo meteorologistas e a Cruz Vermelha. Antes mesmo de chegar à Jamaica, o furacão já havia causado três mortes, elevando para sete o total de vítimas no Caribe.
O governo jamaicano decretou evacuações em diversas áreas e abriu cerca de 900 abrigos para proteger moradores e turistas. O nível do mar deve subir até quatro metros em alguns pontos da ilha, aumentando o risco de inundações e danos materiais. Autoridades reforçaram alertas para que a população se mantenha em abrigos e siga medidas de segurança.
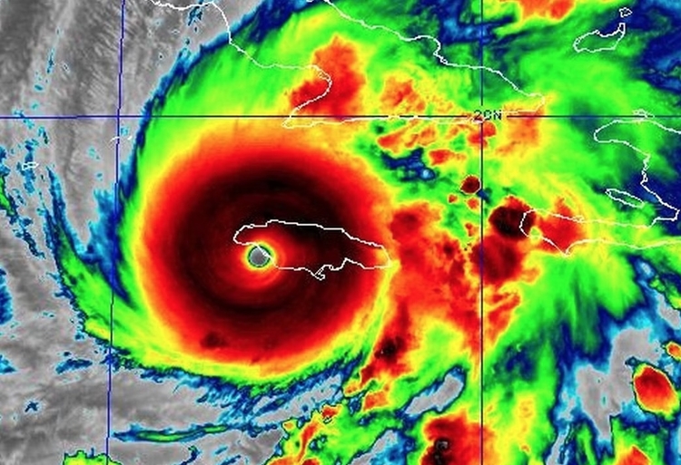
A Força Aérea dos Estados Unidos enviou o 53º Esquadrão de Reconhecimento Meteorológico, conhecido como “caçadores de furacões”, para sobrevoar o olho da tempestade. A equipe enfrentou forte turbulência e precisou interromper temporariamente o trabalho, retornando à base para inspeção da aeronave antes de retomar as operações. As imagens captadas mostraram a intensidade extrema do fenômeno e foram compartilhadas nas redes sociais.
Com pressão interna registrada em 892 milibares, Melissa se tornou o terceiro furacão mais intenso já registrado no Oceano Atlântico, atrás apenas de Wilma (2005) e Gilbert (1988). Especialistas alertam que a baixa pressão no centro da tempestade indica ventos extremamente fortes e alto potencial destrutivo, classificando o fenômeno como devastador. Após a passagem pela Jamaica, o furacão seguirá em direção a Cuba, mantendo risco elevado para as áreas costeiras da região.




Aviso